 Mart Monne MZSP Santa Cruz, Bolivia SS.jpg)
Specimen Type: holotype Sex: m Institution: MZSP Museu de Zoologia da Universidade de São Paulo, Brazil Photographer: Antonio Santos-Silva Collection Location: Santa Cruz, Bolivia 11847
|
 Mart Monne MZSP Santa Cruz, Bolivia SS.jpg)
Specimen Type: holotype Sex: m Institution: MZSP Museu de Zoologia da Universidade de São Paulo, Brazil Collection Location: Santa Cruz, Santa Cruz, Bolivia 81196
|
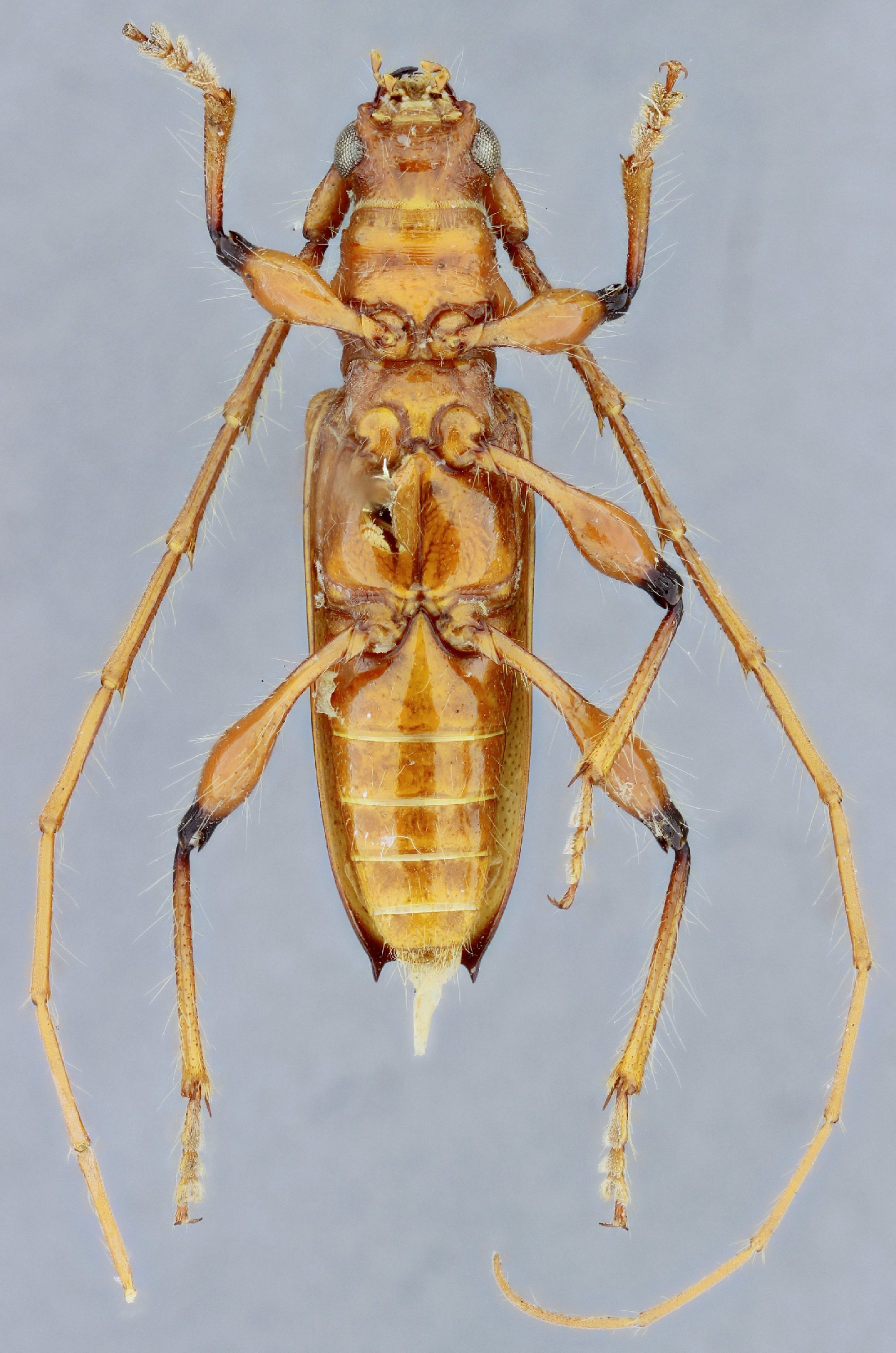
 Mart Monne MZSP Santa Cruz, Bolivia SS.jpg)
Specimen Type: holotype Sex: m Institution: MZSP Museu de Zoologia da Universidade de São Paulo, Brazil Photographer: Antonio Santos-Silva Collection Location: Santa Cruz, Santa Cruz, Bolivia 81197
|
 Mart Monne MZSP Santa Cruz, Bolivia SS.jpg)
Specimen Type: holotype Sex: m Institution: MZSP Museu de Zoologia da Universidade de São Paulo, Brazil Photographer: Antonio Santos-Silva Collection Location: Santa Cruz, Santa Cruz, Bolivia 81198
|
|