 Thomson MNHN Brazil now Periboeum Moure.jpg)
Nephalius acuminatum Thomson Specimen Type: holotype Institution: MNHN Museum of Natural History Paris, France Photographer: JS Moure Collection Location: Brazil 81188
|
 Salvador NMNH Rio de Janeiro, Brazil SS.jpg)
Periboeum atylodes Salvador Specimen Type: holotype Sex: f Institution: NMNH United States National Museum, Washington, DC, USA Photographer: Antonio Santos-Silva Collection Location: Rio de Janeiro, Brazil 81189
|
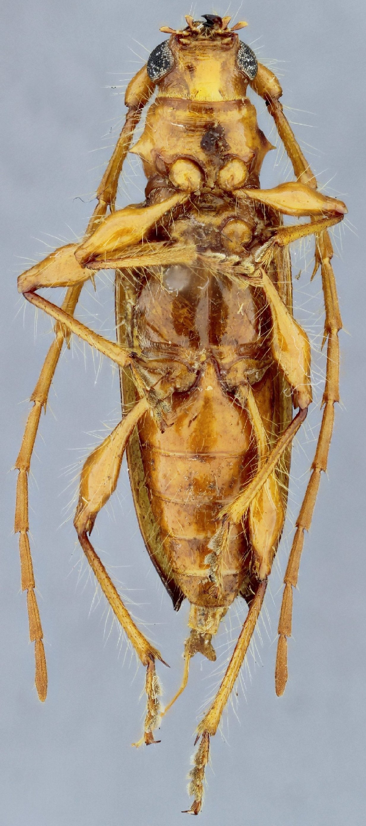
 Salvador NMNH Rio de Janeiro, Brazil SS.jpg)
Periboeum atylodes Salvador Specimen Type: holotype Sex: f Institution: NMNH United States National Museum, Washington, DC, USA Photographer: Antonio Santos-Silva Collection Location: Rio de Janeiro, Brazil 81190
|
 Salvador NMNH Rio de Janeiro, Brazil SS.jpg)
Periboeum atylodes Salvador Specimen Type: holotype Sex: f Institution: NMNH United States National Museum, Washington, DC, USA Photographer: Antonio Santos-Silva Collection Location: Rio de Janeiro, Brazil 81191
|
 Salvador NMNH Rio de Janeiro, Brazil SS.jpg)
Periboeum atylodes Salvador Specimen Type: holotype Sex: f Institution: NMNH United States National Museum, Washington, DC, USA Photographer: Antonio Santos-Silva Collection Location: Rio de Janeiro, Brazil 81192
|

Institution: LGBC Larry G. Bezark Collection, Sacramento, California, USA Photographer: Larry G. Bezark Collection Location: Zanja Moroti, Concepcion, Paraguay 37533
|
_MZSP_SWL.jpg)
Institution: MZSP Museu de Zoologia da Universidade de São Paulo, Brazil Photographer: Steve Lingafelter 11842
|

Periboeum atylodes Salvador Institution: MZSP Museu de Zoologia da Universidade de São Paulo, Brazil Photographer: Steve Lingafelter 11846
|

Photographer: Francisco Nascimento Collection Location: Bahia, Brazil 59612
|
|