_Newman_BMNH_NorthAmerica_nowParelaphidion_LGB.jpg)
Elaphidion incertum Newman Specimen Type: holotype Institution: BMNH British Museum Natural History, London, UK Photographer: Larry G. Bezark Collection Location: North America 46682
|
_Newman_BMNH_NorthAmerica_nowParelaphidion_LGB.jpg)
Elaphidion incertum Newman Specimen Type: holotype Institution: BMNH British Museum Natural History, London, UK Photographer: Larry G. Bezark Collection Location: North America 46683
|
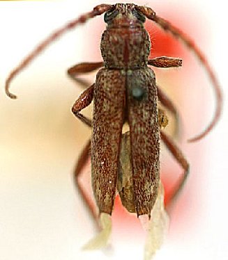
_Casey_USNM_=_Parelaphidion_incertum.jpg)
Hypermallus brevicornis Casey Specimen Type: holotype Sex: m Institution: NMNH United States National Museum, Washington, DC, USA Photographer: Steve Lingafelter 25967
|
_Casey_USNM_=_Parelaphidion_incertum.jpg)
Hypermallus obsolescens Casey Specimen Type: holotype Sex: f Institution: NMNH United States National Museum, Washington, DC, USA Photographer: Steve Lingafelter 25968
|
_LeConte_MCZ_=_Parelaphidion_incertum_(Newman).jpg)
Elaphidion neglectum LeConte Specimen Type: holotype Institution: MCZ Museum of Comparative Zoology, Harvard University, Cambridge, MA, USA Photographer: P. Naskrecki, P. Perkins, and B. Farrell 1041
|
_LeConte_MCZ_=_Parelaphidion_incertum_(Newman).jpg)
Elaphidion neglectum LeConte Specimen Type: holotype Institution: MCZ Museum of Comparative Zoology, Harvard University, Cambridge, MA, USA Photographer: P. Naskrecki, P. Perkins, and B. Farrell 1042
|
_LeConte_MCZ_=_Parelaphidion_incertum_(Newman).jpg)
Elaphidion neglectum LeConte Specimen Type: holotype Institution: MCZ Museum of Comparative Zoology, Harvard University, Cambridge, MA, USA Photographer: P. Naskrecki, P. Perkins, and B. Farrell 1043
|
_LeConte_MCZ_=_Parelaphidion_incertum_(Newman).jpg)
Elaphidion neglectum LeConte Specimen Type: holotype Institution: MCZ Museum of Comparative Zoology, Harvard University, Cambridge, MA, USA Photographer: P. Naskrecki, P. Perkins, and B. Farrell 1044
|
_FSCA.jpg)
Institution: FSCA Florida State Collection of Arthropods, Gainesville, FL, USA Photographer: Mike Thomas 2383
|
|