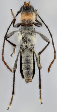
_Bez_SS_CAS_vic_Monticristi_Manabi_EC.jpg)
Rashelapso morrisoni Bezark & Santos-Silva Specimen Type: holotype Sex: m Institution: CAS California Academy of Sciences, San Francisco, CA, USA Photographer: Antonio Santos-Silva Collection Location: vic Monticristi, Manabi, Ecuador 52797
|
_Bez_SS_CAS_vic_Monticristi_Manabi_EC.jpg)
Rashelapso morrisoni Bezark & Santos-Silva Specimen Type: holotype Sex: m Institution: CAS California Academy of Sciences, San Francisco, CA, USA Photographer: Antonio Santos-Silva Collection Location: vic Monticristi, Manabi, Ecuador 52798
|
_Bez_SS_CAS_vic_Monticristi_Manabi_EC.jpg)
Rashelapso morrisoni Bezark & Santos-Silva Specimen Type: holotype Sex: m Institution: CAS California Academy of Sciences, San Francisco, CA, USA Photographer: Antonio Santos-Silva Collection Location: vic Monticristi, Manabi, Ecuador 52799
|
_Bez_SS_vic_Monticristi_Manabi_EC.jpg)
Rashelapso morrisoni Bezark & Santos-Silva Specimen Type: paratype Sex: f Photographer: Antonio Santos-Silva Collection Location: vic Monticristi, Manabi, Ecuador 52800
|
_Bez_SS_Chaguarpabma_Loja_EC_LGB.jpg)
Specimen Type: paratype Institution: LGBC Larry G. Bezark Collection, Sacramento, California, USA Photographer: Larry G. Bezark Collection Location: Chaguarpamba, Loja, Ecuador 54751
|
|