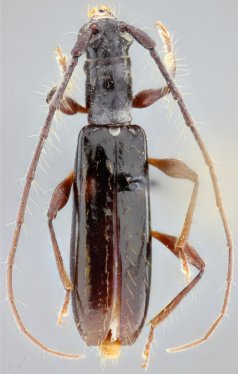
_Bez_SS_Gal_CAS_17.5_kmS_Catamayo_Loja_EC.jpg)
Specimen Type: holotype Sex: m Institution: CAS California Academy of Sciences, San Francisco, CA, USA Photographer: Antonio Santos-Silva Collection Location: 17.5 km S Catamayo, Loja, Ecuador 52782
|
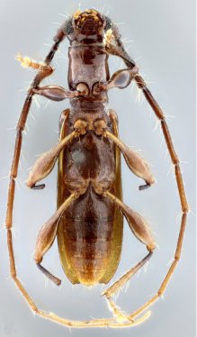
_Bez_SS_Gal_CAS_17.5_kmS_Catamayo_Loja_EC.jpg)
Specimen Type: holotype Sex: m Institution: CAS California Academy of Sciences, San Francisco, CA, USA Photographer: Antonio Santos-Silva Collection Location: 17.5 km S Catamayo, Loja, Ecuador 52783
|
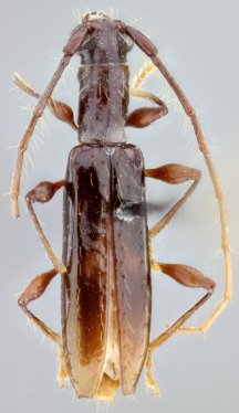
_Bez_SS_Gal_CAS_17.5_kmS_Catamayo_Loja_EC.jpg)
Specimen Type: holotype Sex: m Institution: CAS California Academy of Sciences, San Francisco, CA, USA Photographer: Antonio Santos-Silva Collection Location: 17.5 km S Catamayo, Loja, Ecuador 52784
|
_Bez_SS_Gal_CAS_17.5_kmS_Catamayo_Loja_EC.jpg)
Specimen Type: paratype Sex: f Photographer: Antonio Santos-Silva Collection Location: 17.5 km S Catamayo, Loja, Ecuador 52785
|
_Bez_SS_Gal_CAS_17.5_kmS_Catamayo_Loja_EC.jpg)
Specimen Type: paratype Sex: f Photographer: Antonio Santos-Silva Collection Location: 17.5 km S Catamayo, Loja, Ecuador 52786
|
_Bez_SS_Gal_17.5kmS_Catamayo_Loja_Prov_EC_LGB.jpg)
Specimen Type: paratype Institution: LGBC Larry G. Bezark Collection, Sacramento, California, USA Photographer: Larry G. Bezark Collection Location: 17.5 km S Catamayo, Loja, Ecuador 54744
|
|