_MZSP_G_M_Le_Tirant_SS_Caranavi_LP_Bol.jpg)
Specimen Type: holotype Sex: m Institution: MZSP Museu de Zoologia da Universidade de São Paulo, Brazil Photographer: Antonio Santos-Silva Collection Location: Caranavi, La Paz, Bolivia 45095
|
_MZSP_G_M_Le_Tirant_SS_Caranavi_LP_Bol.jpg)
Specimen Type: holotype Sex: m Institution: MZSP Museu de Zoologia da Universidade de São Paulo, Brazil Photographer: Antonio Santos-Silva Collection Location: Caranavi, La Paz, Bolivia 45096
|
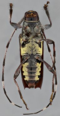
_MZSP_G_M_Le_Tirant_SS_Caranavi_LP_Bol.jpg)
Specimen Type: holotype Sex: m Institution: MZSP Museu de Zoologia da Universidade de São Paulo, Brazil Photographer: Antonio Santos-Silva Collection Location: Caranavi, La Paz, Bolivia 45097
|
|