New Search Family, Subfamily and Tribe List

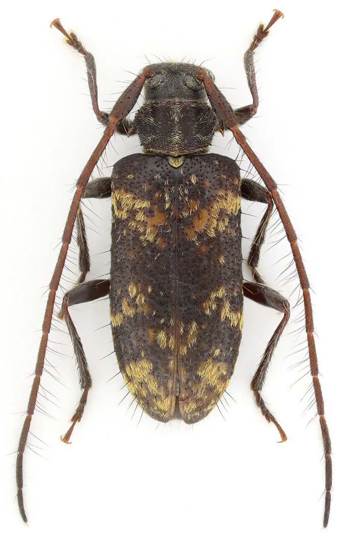
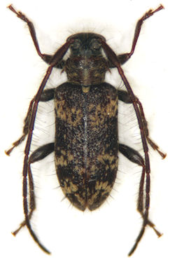
SubFamily Lamiinae

Tribe Pogonocherini
Exocentrus alni Fisher 1932

Determiner: Biodiversität und Naturausstattung im Himalaya
Collection Location: Nepal
40713


Sex: f
Institution: Weigel Collection
Photographer: Andreas Weigel
Collection Location: Dolakha district, Bagmati Province, Nepal
98935

130425