New Search Family, Subfamily and Tribe List

SubFamily Lamiinae

Tribe Pogonocherini
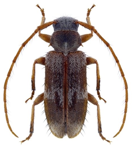
Exocentrus lusitanus (Linnaeus, 1767)

Photographer: Aleksandr Slutsky
Collection Location: Izyum, Izyum district, Kharkov region, NE Ukraine
75371


40790


Photographer: Michal Hoskovec
Collection Location: Dymokury, Czech Republic
40791

130425