_Giesbert_CASTYPE19823_RBD.jpg)
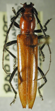
Megapsyrassa chiapaneca Giesbert Specimen Type: holotype Sex: m Institution: CAS California Academy of Sciences, San Francisco, CA, USA Photographer: Rachel Diaz-Bastin Collection Location: Sumidero Canyon, Chiapas, Mexico 69356
|
_Giesbert_CASTYPE19823_RBD.jpg)
Megapsyrassa chiapaneca Giesbert Specimen Type: holotype Sex: m Institution: CAS California Academy of Sciences, San Francisco, CA, USA Photographer: Rachel Diaz-Bastin Collection Location: Sumidero Canyon, Chiapas, Mexico 69357
|
_Giesbert_CASTYPE19823_RBD.jpg)
Megapsyrassa chiapaneca Giesbert Specimen Type: holotype Sex: m Institution: CAS California Academy of Sciences, San Francisco, CA, USA Photographer: Rachel Diaz-Bastin Collection Location: Sumidero Canyon, Chiapas, Mexico 69358
|
_Giesbert_CASTYPE19823_RBD.jpg)
Megapsyrassa chiapaneca Giesbert Specimen Type: holotype Sex: m Institution: CAS California Academy of Sciences, San Francisco, CA, USA Photographer: Rachel Diaz-Bastin Collection Location: Sumidero Canyon, Chiapas, Mexico 69359
|
_Giesbert_Sumidero_Canyon_Chiapas_Mexico_UCB.jpg)
Megapsyrassa chiapaneca Giesbert Specimen Type: allotype Institution: UCB Essig Museum of Entomology, Berkeley, California, USA Collection Location: Sumidero Canyon, Chiapas, Mexico 17377
|
_Giesbert_Chiapas_Mexico_Giesbert_Coll_FSCA.jpg)
Megapsyrassa chiapaneca Giesbert Specimen Type: paratype Institution: EMG Ed Giesbert Collection (now at FSCA) Photographer: Larry G. Bezark Collection Location: Chiapas, Mexico 9867
|
|