New Search Family, Subfamily and Tribe List

SubFamily Cerambycinae

Tribe Elaphidiini
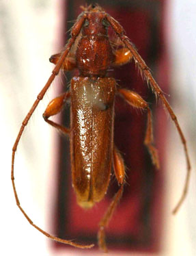
Etymosphaerion unicolor Martins & Monné 1975

Specimen Type: holotype
Sex: m
Institution: MZSP Museu de Zoologia da Universidade de São Paulo, Brazil
Photographer: Steve Lingafelter
Collection Location: Santa Cruz, Bolivia
7584


Photographer: Jim Wappes
Collection Location: Bolivia
7585

130425