_LeConte_MCZ_=_Enaphlodes.jpg)
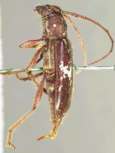
Romaleum taeniatum LeConte Specimen Type: holotype Sex: f Institution: MCZ Museum of Comparative Zoology, Harvard University, Cambridge, MA, USA Photographer: P. Naskrecki, P. Perkins, and B. Farrell Collection Location: Between Laredo and Ringgold Barracks, Texas 2742
|
_LeConte_MCZ_=_Enaphlodes.jpg)
Romaleum taeniatum LeConte Specimen Type: holotype Sex: f Institution: MCZ Museum of Comparative Zoology, Harvard University, Cambridge, MA, USA Photographer: P. Naskrecki, P. Perkins, and B. Farrell Collection Location: Between Laredo and Ringgold Barracks, Texas 2743
|
_LeConte_MCZ_=_Enaphlodes.jpg)
Romaleum taeniatum LeConte Specimen Type: holotype Sex: f Institution: MCZ Museum of Comparative Zoology, Harvard University, Cambridge, MA, USA Photographer: P. Naskrecki, P. Perkins, and B. Farrell Collection Location: Between Laredo and Ringgold Barracks, Texas 2744
|
_LeConte_MCZ_=_Enaphlodes.jpg)
Romaleum taeniatum LeConte Specimen Type: holotype Sex: f Institution: MCZ Museum of Comparative Zoology, Harvard University, Cambridge, MA, USA Photographer: P. Naskrecki, P. Perkins, and B. Farrell Collection Location: Between Laredo and Ringgold Barracks, Texas 2745
|
_SS.jpg)
Sex: f Photographer: Antonio Santos-Silva 64183
|
_SS.jpg)
Sex: f Photographer: Antonio Santos-Silva 64184
|
_SS.jpg)
Sex: f Photographer: Antonio Santos-Silva 64185
|
_SS.jpg)
Sex: f Photographer: Antonio Santos-Silva 64186
|
_LGB.jpg)
Photographer: Larry G. Bezark 1125
|
|