_Bez_Gal_SS_CAS_16kmN_Coca_Orellana_EC_SS.jpg)
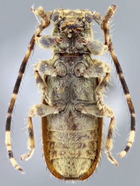
Specimen Type: holotype Sex: f Institution: CAS California Academy of Sciences, San Francisco, CA, USA Photographer: Antonio Santos-Silva Collection Location: 16 km N of Coca, Orellana, Ecuador 53324
|
_Bez_Gal_SS_CAS_16kmN_Coca_Orellana_EC_SS.jpg)
Specimen Type: holotype Sex: f Institution: CAS California Academy of Sciences, San Francisco, CA, USA Photographer: Antonio Santos-Silva Collection Location: 16 km N of Coca, Orellana, Ecuador 53325
|
_Bez_Gal_SS_CAS_16kmN_Coca_Orellana_EC_SS.jpg)
Specimen Type: holotype Sex: f Institution: CAS California Academy of Sciences, San Francisco, CA, USA Photographer: Antonio Santos-Silva Collection Location: 16 km N of Coca, Orellana, Ecuador 53326
|
_Bez_Gal_SS_CAS_16kmN_Coca_Orellana_EC_SS.jpg)
Specimen Type: holotype Sex: f Institution: CAS California Academy of Sciences, San Francisco, CA, USA Photographer: Antonio Santos-Silva Collection Location: 16 km N of Coca, Orellana, Ecuador 53327
|
|