New Search Family, Subfamily and Tribe List

SubFamily Lamiinae

Tribe Enicodini
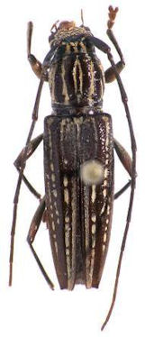
Mimenicodes perroudi (Montrouzier, 1861)

Determiner: Mémoires de la Société Linnéenne de Lyon
Collection Location: New Caledonia
53637

130425