_Perkins_BPBM_Nobuo_Ohbay.jpg)
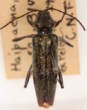
Nesithmysus forbesi Perkins Specimen Type: holotype Sex: f Institution: BPBM Bernice P. Bishop Museum, Honolulu, Hawaii, USA Photographer: Nobuo Ohbayashi Collection Location: Haipuaena, East Maui, Hawaii 44778
|
_Perkins_BPBM_Nobuo_Ohbay.jpg)
Nesithmysus forbesi Perkins Specimen Type: holotype Sex: f Institution: BPBM Bernice P. Bishop Museum, Honolulu, Hawaii, USA Photographer: Nobuo Ohbayashi Collection Location: Haipuaena, East Maui, Hawaii 44779
|