New Search Family, Subfamily and Tribe List

SubFamily Cerambycinae

Tribe Clytini
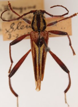
Plagithmysus platydesmae Perkins 1920

Specimen Type: syntype
Institution: BPBM Bernice P. Bishop Museum, Honolulu, Hawaii, USA
Photographer: Nobuo Ohbayashi
Collection Location: Glenwood, Hawaii
45148

130425