New Search Family, Subfamily and Tribe List

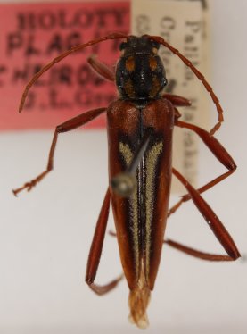
SubFamily Cerambycinae

Tribe Clytini
Plagithmysus cheirodendri Gressitt & Davis 1969

Specimen Type: holotype
Sex: f
Institution: BPBM Bernice P. Bishop Museum, Honolulu, Hawaii, USA
Photographer: Nobuo Ohbayashi
Collection Location: Paliku, Haleakala crater, Maui, Hawaii
45121

130425