New Search Family, Subfamily and Tribe List

SubFamily Cerambycinae

Tribe Callidiopini
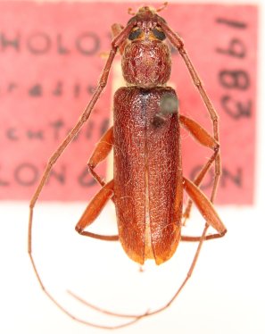
Ceresium scutellaris Dillon & Dillon 1952

Specimen Type: holotype
Sex: m
Institution: BPBM Bernice P. Bishop Museum, Honolulu, Hawaii, USA
Photographer: Nobuo Ohbayashi
Collection Location: Viti Levu, Fiji Islands
43268

130425