New Search Family, Subfamily and Tribe List

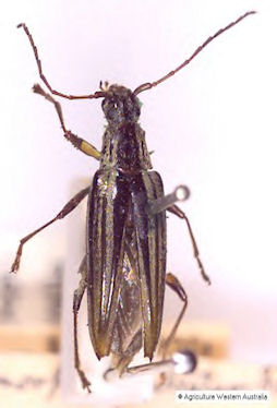
SubFamily Cerambycinae

Tribe Coptommatini
Navomorpha sulcata (Fabricius, 1775)

Photographer: Agriculture Western Australia, Natarsha Zilm
54091

130425