New Search Family, Subfamily and Tribe List

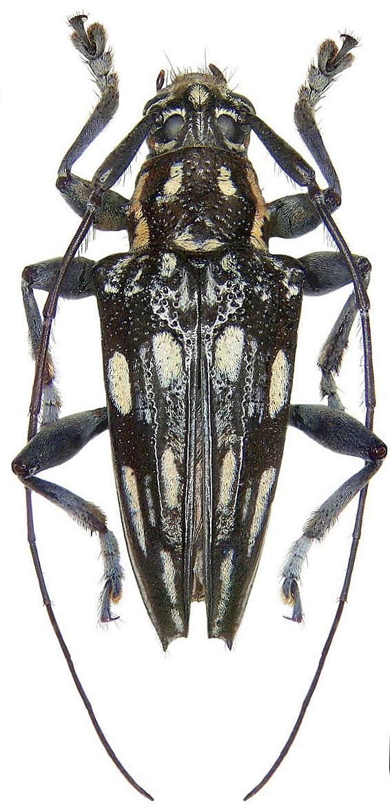
SubFamily Lamiinae

Tribe Tmesisternini
Trigonoptera maculata Perroud 1855

Institution: IRSNB Royal Belgian Institute of Natural Sciences, Brussels, Belgium
Photographer: Noel Mal
66183

130425