New Search Family, Subfamily and Tribe List

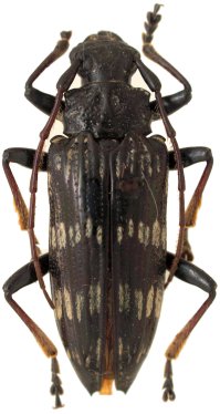
SubFamily Lamiinae

Tribe Tmesisternini
Pascoea idae White 1855

Collection Location: Maluku
56249


Sex: m
Photographer: Gerard Chemin, Cerambycoidea Forum
Collection Location: Mt Binaya, Seram, Indonesia
56250


Photographer: Gerard Chemin, Cerambycoidea Forum
Collection Location: Pulau, Halmahera Island
56251

130425