_Pascoe_Buru.jpg)
Specimen Type: holotype Sex: f Institution: BMNH British Museum Natural History, London, UK Determiner: Trans. Ent. Soc. London Collection Location: Seram, Molucca Islands 37049
|
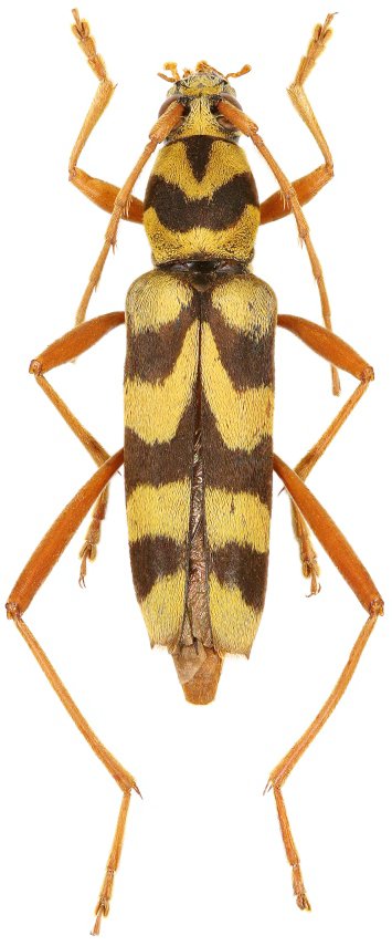
_Pascoe_Seram_Indonesia_Viktora_pic.jpg)
Sex: f Institution: Viktora Collection Photographer: Petr Viktora Collection Location: Seram, Indonesia 75069
|