_Gressitt_BPBM_Nobuo_Ohbay.jpg)
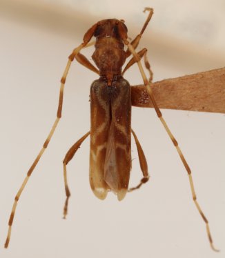
Specimen Type: holotype Sex: m Institution: BPBM Bernice P. Bishop Museum, Honolulu, Hawaii, USA Photographer: Nobuo Ohbayashi Collection Location: Koitaki, Papua New Guinea 45425
|

Institution: CAS California Academy of Sciences, San Francisco, CA, USA Photographer: Larry G. Bezark 61094
|