New Search Family, Subfamily and Tribe List

SubFamily Cerambycinae

Tribe Callidiopini
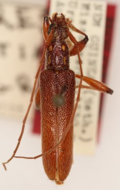
Ceresium lieftincki Gressitt 1959

Specimen Type: holotype
Sex: m
Institution: BPBM Bernice P. Bishop Museum, Honolulu, Hawaii, USA
Photographer: Nobuo Ohbayashi
Collection Location: Urapura, Papua New Guinea
43261


Specimen Type: paratype
Institution: RMNH Rijksmuseum van Natuurlijke Historie, Leiden, Netherlands
Photographer: Gerrit Withaar
Collection Location: Rattan Camp, Papua New Guinea
37294


Specimen Type: paratype
Institution: LIPI Lembaga Ilmu Pengetahuan, Bogor, Indonesia
Photographer: Larry G. Bezark
Collection Location: Netherlands Expedition, Papua New Guinea
43471

130425