New Search Family, Subfamily and Tribe List

SubFamily Cerambycinae

Tribe Callidiopini
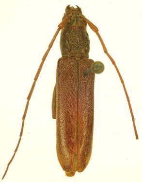
Ceresium lanuginosum Schaufuss 1864

Institution: RMNH Rijksmuseum van Natuurlijke Historie, Leiden, Netherlands
Photographer: Gerrit Withaar
Collection Location: Tami River, Papua New Guinea
37293

130425