
Institution: CAS California Academy of Sciences, San Francisco, CA, USA Photographer: Larry G. Bezark 34567
|

Institution: TARI Taiwan Agriculture Research Institute, Taichung Collection Location: Hainan Island, China 39777
|
_White_Sama_Hainan_China_TARI.jpg)
Institution: TARI Taiwan Agriculture Research Institute, Taichung Collection Location: Hainan Island, China 39778
|
_White_Sama_Hainan_China_TARI.jpg)
Institution: TARI Taiwan Agriculture Research Institute, Taichung Collection Location: Hainan Island, China 39779
|
_White_Sama_Hainan_China_TARI.jpg)
Institution: TARI Taiwan Agriculture Research Institute, Taichung Collection Location: Hainan Island, China 39780
|
_White_Sama_Hainan_China_TARI.jpg)
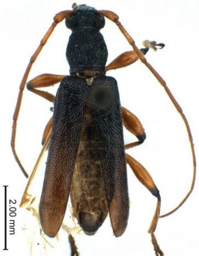
Institution: TARI Taiwan Agriculture Research Institute, Taichung Collection Location: Hainan Island, China 39781
|

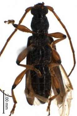
Photographer: Max Smirnov, Cerambycoidea Forum Collection Location: Bin Fyok Province, Vietnam 46028
|
|