_Gressitt_AMNH.jpg)
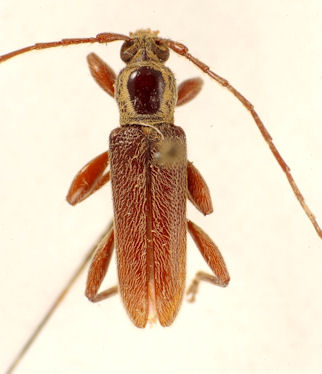
Specimen Type: holotype Sex: m Institution: AMNH American Museum of Natural History, New York, NY, USA Collection Location: Palmer River at Black River, Papua New Guinea 34549
|

Institution: BPBM Bernice P. Bishop Museum, Honolulu, Hawaii, USA Photographer: Jim Cope 34550
|