_Gressitt_BPBM_Nobuo_Ohbay.jpg)
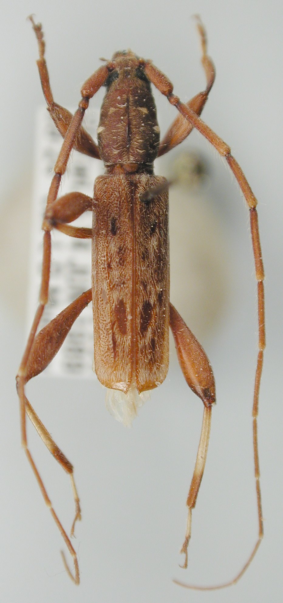
Specimen Type: holotype Sex: m Institution: BPBM Bernice P. Bishop Museum, Honolulu, Hawaii, USA Photographer: Nobuo Ohbayashi Collection Location: Busu River, E. of La, Papua New Guinea 43190
|

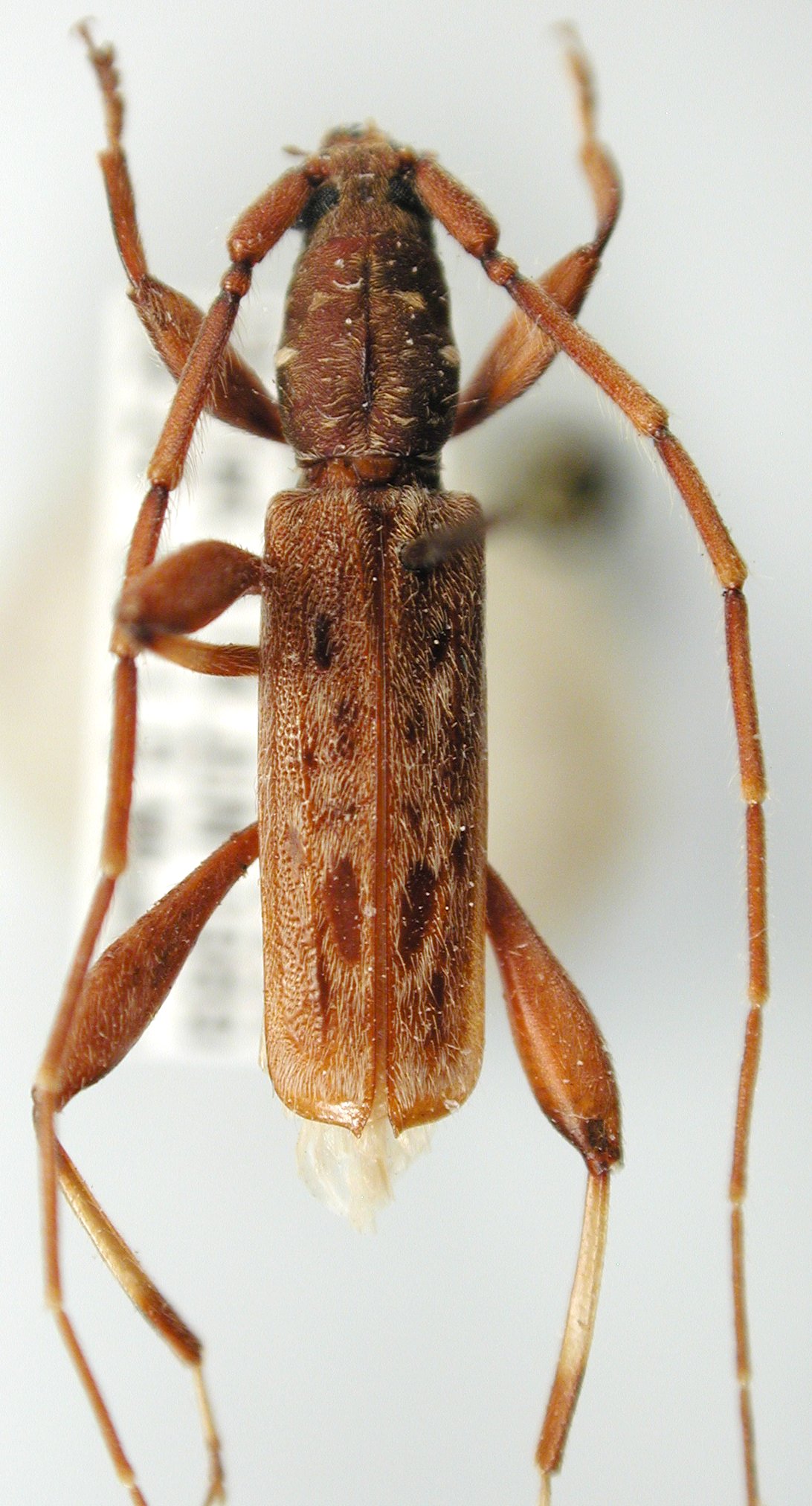
Specimen Type: holotype Sex: m Institution: BPBM Bernice P. Bishop Museum, Honolulu, Hawaii, USA Photographer: Jim Cope Collection Location: Busu River, E. of La, Papua New Guinea 32322
|
.jpg)
Specimen Type: paratype Sex: m Institution: CAS California Academy of Sciences, San Francisco, CA, USA Photographer: Larry G. Bezark Collection Location: Papua New Guinea 32321
|

Photographer: Udo Schmidt Determiner: Andreas Weigel Collection Location: Irian jaya 32324
|

Institution: LGBC Larry G. Bezark Collection, Sacramento, California, USA Photographer: Larry G. Bezark Collection Location: Ambua Lodge, Highlands Province, Papua New Guinea 99826
|

Institution: LGBC Larry G. Bezark Collection, Sacramento, California, USA Photographer: Larry G. Bezark Collection Location: Ambua Lodge, Highlands Province, Papua New Guinea 99827
|

Determiner: Pacific Insects 32323
|
|