New Search Family, Subfamily and Tribe List

SubFamily Cerambycinae

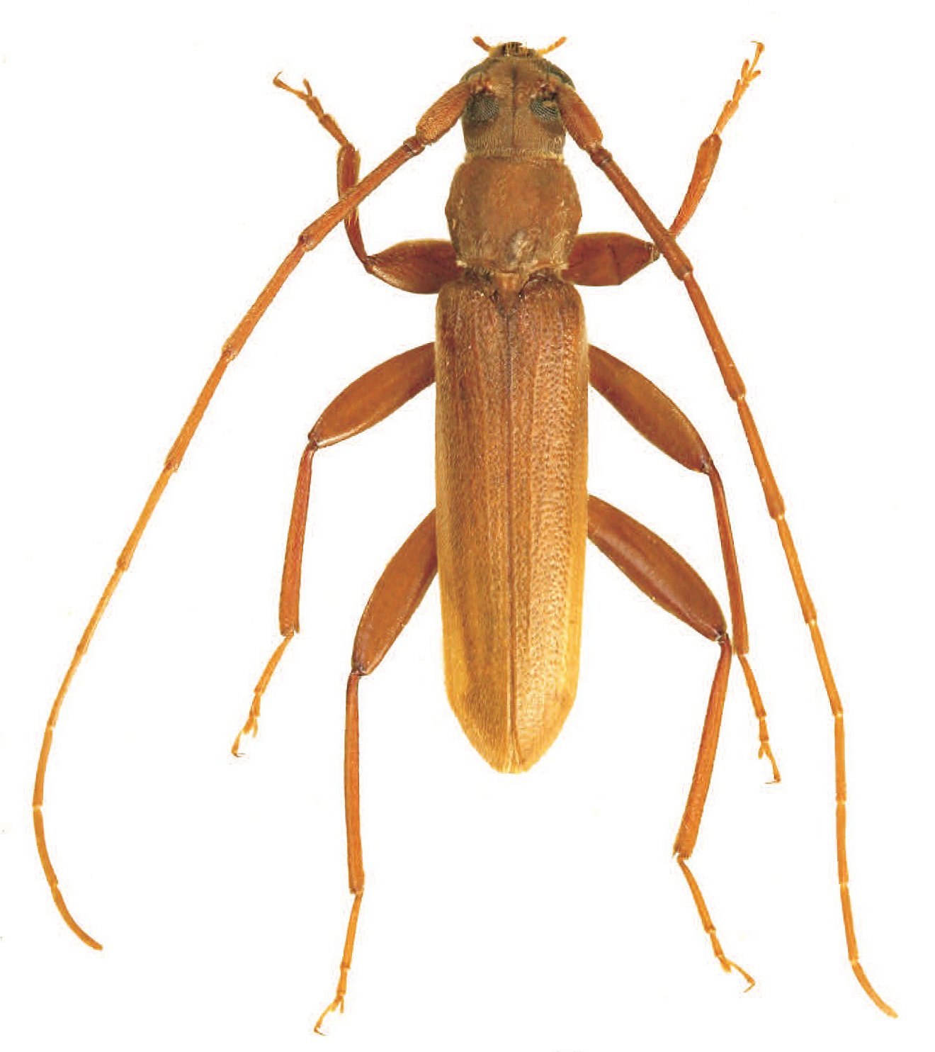
Tribe Oemini
Noserius ignavus Pascoe 1869

Sex: m
Institution: Vives Collection
Photographer: Eduard Vives
Collection Location: Tana, Pantar Island, Lesser Sunda Islands
96941

130425