_AMNH.jpg)
Specimen Type: holotype Sex: f Institution: AMNH American Museum of Natural History, New York, NY, USA Collection Location: Fly River, Papua New Guinea 55217
|
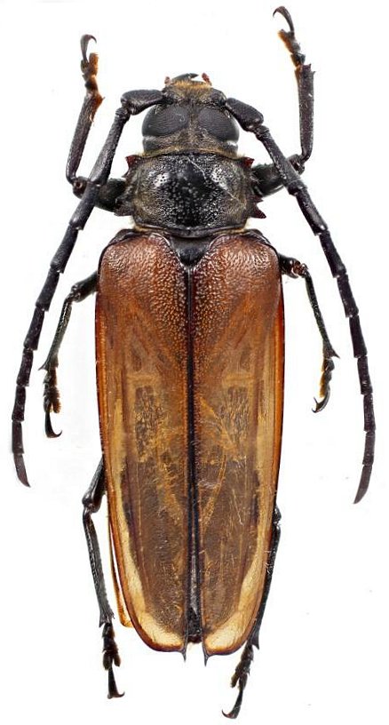
_Gressitt_Voitsekhovskii_Coll_PNG.jpg)
Sex: m Institution: Voitsekhovskii Collection Photographer: Voitsekhovskii Collection Location: Papua New Guinea 72133
|