_Q_V_IRSNB_Sunda_J_Pirkl_pic5.jpg)
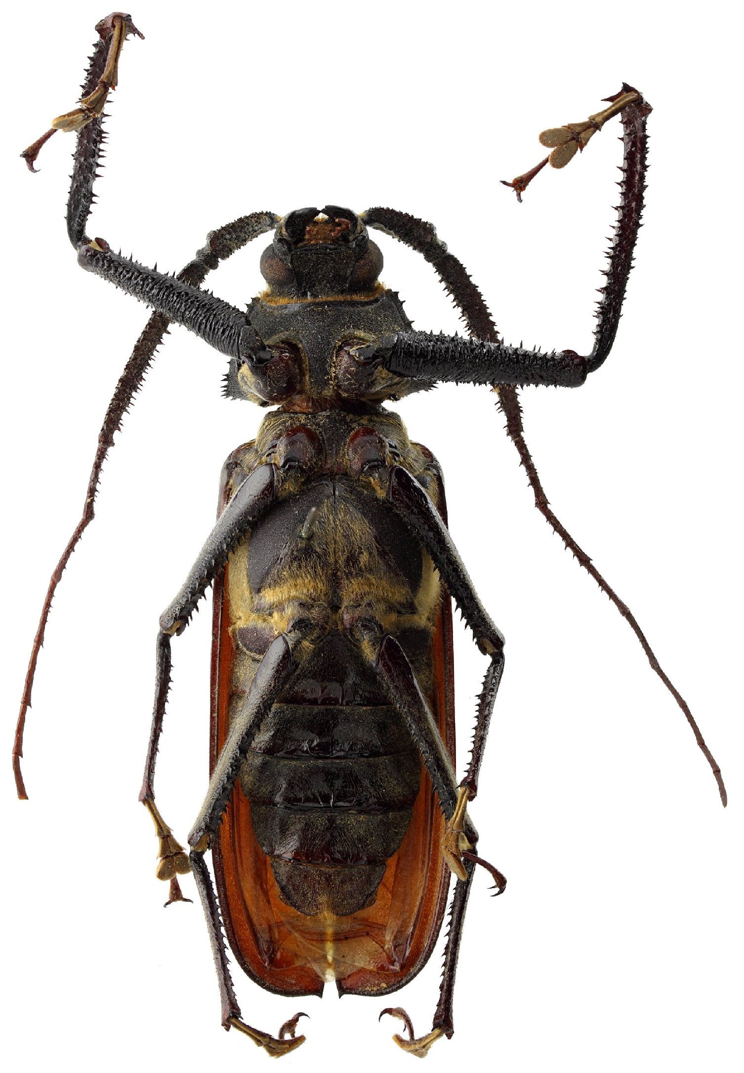
Specimen Type: holotype Sex: m Institution: RBINS Royal Belgian Institute of Natural Sciences, Brussels, Belgium Photographer: J Pirkl Collection Location: Waingapo, Lesser Sunda Islands, Indonesia 65390
|
_Q_V_IRSNB_Sunda_J_Pirkl_pic5.jpg)
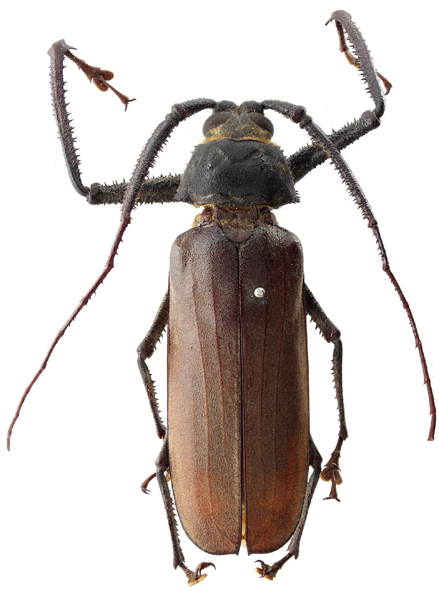
Specimen Type: holotype Sex: m Institution: RBINS Royal Belgian Institute of Natural Sciences, Brussels, Belgium Photographer: J Pirkl Collection Location: Waingapo, Lesser Sunda Islands, Indonesia 65391
|
_Q_V_IRSNB_Sunda_J_Pirkl_pic5.jpg)
Specimen Type: holotype Sex: m Institution: RBINS Royal Belgian Institute of Natural Sciences, Brussels, Belgium Photographer: J Pirkl Collection Location: Waingapo, Lesser Sunda Islands, Indonesia 65392
|
_Q_V_IRSNB_Sunda_J_Pirkl_pic5.jpg)
Specimen Type: holotype Sex: m Institution: RBINS Royal Belgian Institute of Natural Sciences, Brussels, Belgium Photographer: J Pirkl Collection Location: Waingapo, Lesser Sunda Islands, Indonesia 65393
|
|