_Galileo_and_Martins_MNRJ_SWL.jpg)
Specimen Type: holotype Sex: f Institution: MNRJ Museu Nacional Universidade do Rio Janeiro, Brazil Photographer: Steve Lingafelter Collection Location: Sinop, Mato Grosso, Brazil 5738
|
_Galileo_and_Martins_MZSP_SWL_Bolivia.jpg)
Specimen Type: paratype Institution: MZSP Museu de Zoologia da Universidade de São Paulo, Brazil Photographer: Steve Lingafelter Collection Location: Sinop, Mato Grosso, Brazil 5739
|
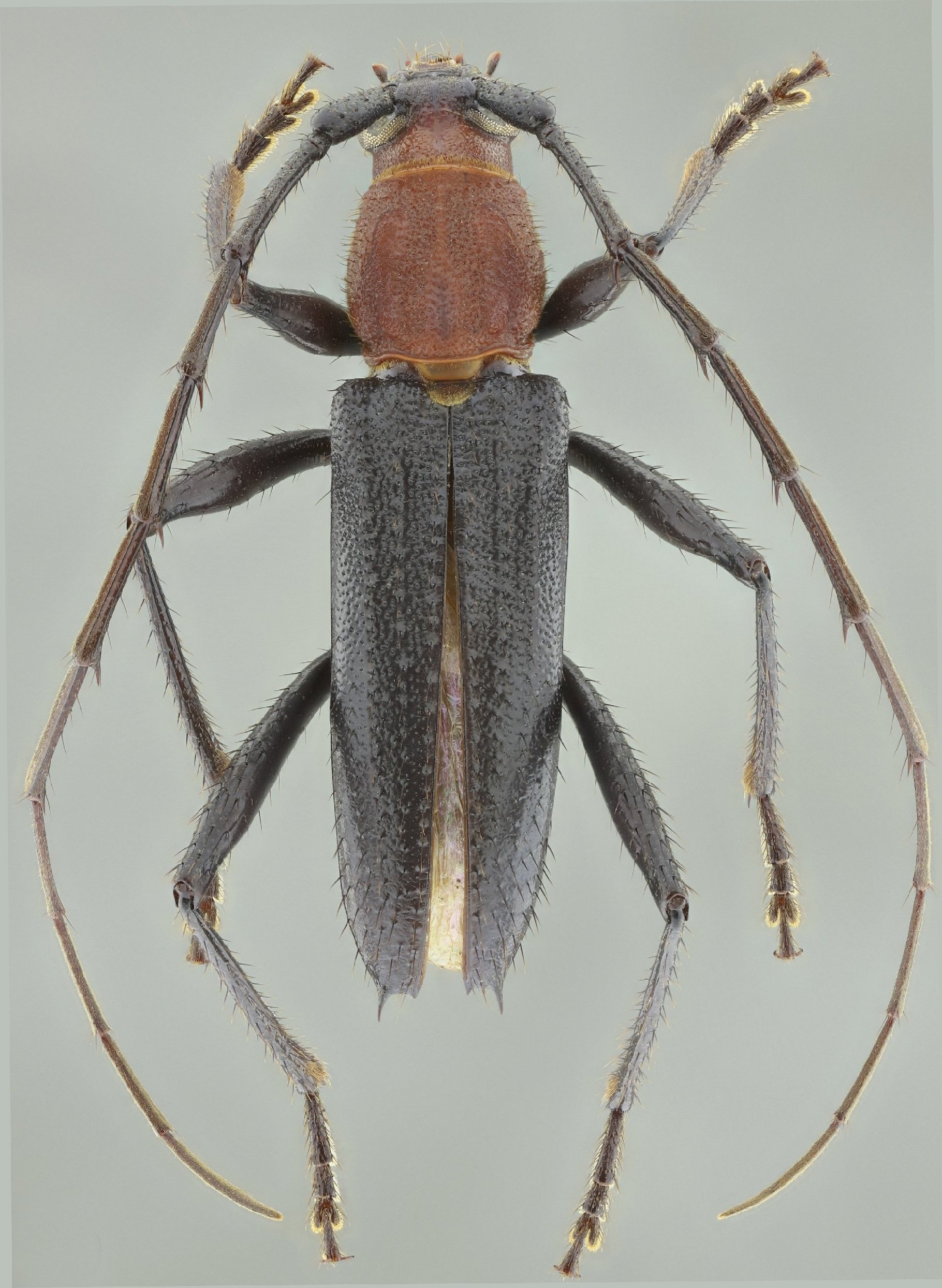
_Galileo_and_Martins.jpg)
Specimen Type: paratype 5740
|

Institution: LGBC Larry G. Bezark Collection, Sacramento, California, USA Photographer: Larry G. Bezark Collection Location: Matiti, French Guiana 78374
|
 Mart Napp Ramirez Coll Picuroyacu, Rio Amazonas, Loreto, Peru SS.jpg)
Sex: m Institution: Ramirez Collection Photographer: Antonio Santos-Silva Collection Location: Picuroyacu, Rio Amazonas, Loreto, Peru 100666
|

Photographer: Jean-Louis Giuglaris Collection Location: Belizon, French Guiana 28642
|
|