New Search Family, Subfamily and Tribe List

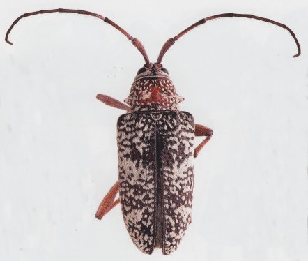
SubFamily Lamiinae

Tribe Zygocerini
Zygocera pentheoides Pascoe 1859

Specimen Type: holotype
Institution: BMNH British Museum Natural History, London, UK
Photographer: Slipinski & Escalona
Collection Location: Swan River, Western Australia
53274


Photographer: Slipinski & Escalona
55800


Photographer: Natarsha Zilm, Agriculture Western Australia
67135

130425