
Zygocera plumifera Pascoe Specimen Type: holotype Institution: BMNH British Museum Natural History, London, UK Photographer: Slipinski & Escalona Collection Location: Sydney, New South Wales, Australia 53267
|
_Breuning_MNHN_Queensland_Nearns.jpg)
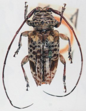
Parahybolasius fuscomaculatus Breuning Specimen Type: holotype Sex: m Institution: NMNH United States National Museum, Washington, DC, USA Photographer: Gino Nearns Collection Location: Queensland, Australia 53033
|

Institution: BPBM Bernice P. Bishop Museum, Honolulu, Hawaii, USA Photographer: Jim Cope Collection Location: Australia 37835
|
_CAS.jpg)
Institution: CAS California Academy of Sciences, San Francisco, CA, USA Photographer: Larry G. Bezark 37834
|
|