
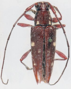
Specimen Type: holotype Institution: NHRS Naturhistoriska Riksmuseet, Stockholm, Sweden Photographer: Slipinski & Escalona Collection Location: Malanda, Queensland, Australia 53250
|

Photographer: Slipinski & Escalona 55787
|

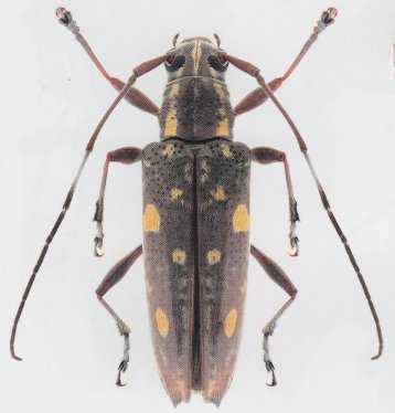
Institution: CAS California Academy of Sciences, San Francisco, CA, USA Photographer: Larry G. Bezark Determiner: McKeown 66172
|
|