New Search Family, Subfamily and Tribe List

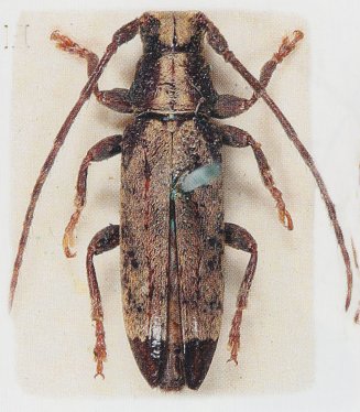
SubFamily Lamiinae

Tribe Tmesisternini
Temnosternus apicalis Pascoe 1878

Specimen Type: holotype
Institution: BMNH British Museum Natural History, London, UK
Photographer: Slipinski & Escalona
Collection Location: Rockhampton, Queensland, Australia
53236

130425