New Search Family, Subfamily and Tribe List

SubFamily Lamiinae

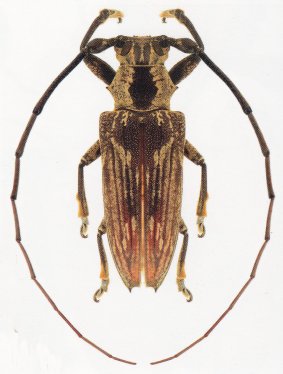
Tribe Homonoeini
Mulciber maculosus Breuning 1839

Specimen Type: holotype
Institution: BMNH British Museum Natural History, London, UK
Photographer: Slipinski & Escalona
Collection Location: Thursday Island, Queensland, Australia
53007


Photographer: Slipinski & Escalona
55708

130425