_Lea_BMNH_Gawler_S_Aust_Slip_Esc.jpg)
Specimen Type: holotype Institution: BMNH British Museum Natural History, London, UK Photographer: Slipinski & Escalona Collection Location: Gawler, Southern Australia 61537
|
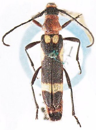
_Lea_BMNH_Gawler_S_Aust_Slip_Esc.jpg)
Specimen Type: paratype Institution: BMNH British Museum Natural History, London, UK Photographer: Slipinski & Escalona Collection Location: Gawler, Southern Australia 61538
|

Determiner: Agriculture Western Australia Natarsha Zilm 38534
|

Institution: CAS California Academy of Sciences, San Francisco, CA, USA Photographer: Larry G. Bezark 38535
|

38536
|
|