_Newman_BMNH_Aust_now_Sylittus_Slip_Esc.jpg)
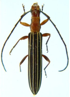
Stenoderus rectus Newman Specimen Type: holotype Institution: BMNH British Museum Natural History, London, UK Photographer: Slipinski & Escalona Collection Location: Australia 61918
|
_Queensland_Aust_LGB.jpg)
Institution: LGBC Larry G. Bezark Collection, Sacramento, California, USA Photographer: Larry G. Bezark Collection Location: Queensland, Australia 63320
|