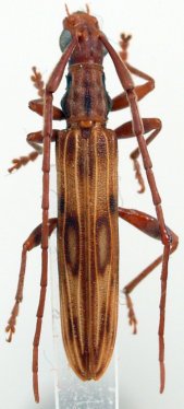
_Waterhouse_BMNH_Qld_Aust_Slip_Esc.jpg)
Specimen Type: holotype Institution: BMNH British Museum Natural History, London, UK Photographer: Slipinski & Escalona Collection Location: Queensland, Australia 61945
|

Photographer: Gerard Chemin, Cerambycoidea Forum Collection Location: Katherine, Northwest Territory, Australia 62858
|