New Search
Family, Subfamily and Tribe List
SubFamily
Cerambycinae
Tribe
Stenoderini
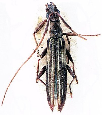
Syllitus acanthias
McKeown 1937
Specimen Type:
holotype
Institution:
AMSA Australian Museum Sydney, Australia
Photographer:
Slipinski & Escalona
Collection Location:
Torres Strait, Moa Bank Island, Australia
61941
130425