_Newman_BMNH_Aust_Slip_Esc.jpg)
Specimen Type: holotype Sex: f Institution: BMNH British Museum Natural History, London, UK Photographer: Slipinski & Escalona Collection Location: Australia 62056
|
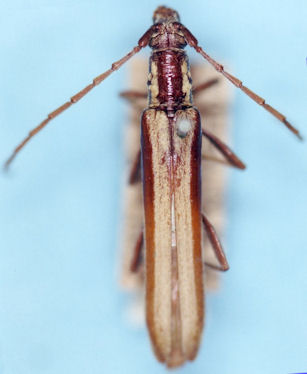
_Hope_OXUM_Swan_River_W_Aust_now_bivitta_Slip_Esc.jpg)
Uracanthus marginellus Hope Specimen Type: holotype Sex: m Institution: OXUM Hope Department of Entomology, Oxford University Museum of Natural History, England Photographer: Slipinski & Escalona Collection Location: Swan River, Western Australia 62094
|