New Search Family, Subfamily and Tribe List

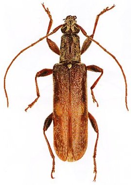
SubFamily Cerambycinae

Tribe Strongylurini
Lygesis mendica Pascoe 1875

Specimen Type: syntype
Institution: BMNH British Museum Natural History, London, UK
Photographer: Slipinski & Escalona
Collection Location: Rope's Creek, New South Wales, Australia
61632


Photographer: Slipinski & Escalona
51941

130425