_McKeown_AM_Mt_Tambourine_S_Qld_Aust_Slip_Esc.jpg)
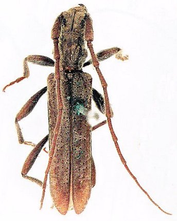
Tessaromma sordida McKeown Specimen Type: holotype Institution: AMSA Australian Museum Sydney, Australia Photographer: Slipinski & Escalona Collection Location: Mt Tambourine, Southern Queensland, Australia 61979
|
_McKeown_AM_Bunya_Mtns_N_Qld_Aust_Slip_Esc.jpg)
Tessaromma truncatispina McKeown Specimen Type: holotype Institution: AMSA Australian Museum Sydney, Australia Photographer: Slipinski & Escalona Collection Location: Bunya Mountains, Queensland, Australia 61980
|