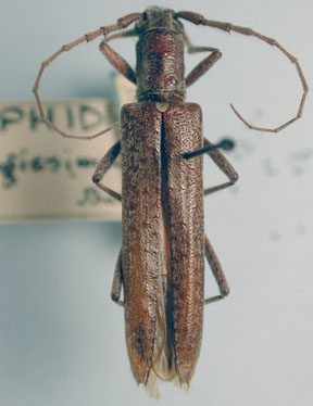
_(f)_Bates_BMNH_JAC_=_Aneflus.jpg)
Hypermallus longissimus Bates Specimen Type: lectotype Sex: f Institution: BMNH British Museum Natural History, London, UK Photographer: John Chemsak Collection Location: Mexico 16867
|
_BCA_(as_Hypermallus).jpg)
Institution: BCA Biologia Centrali Americana Collection Location: (as Hypermallus) 4381
|

Institution: CAS California Academy of Sciences, San Francisco, CA, USA Photographer: Larry G. Bezark 4382
|

Institution: UCB Essig Museum of Entomology, Berkeley, California, USA Photographer: Larry G. Bezark Collection Location: Mexico 4383
|
|