New Search Family, Subfamily and Tribe List

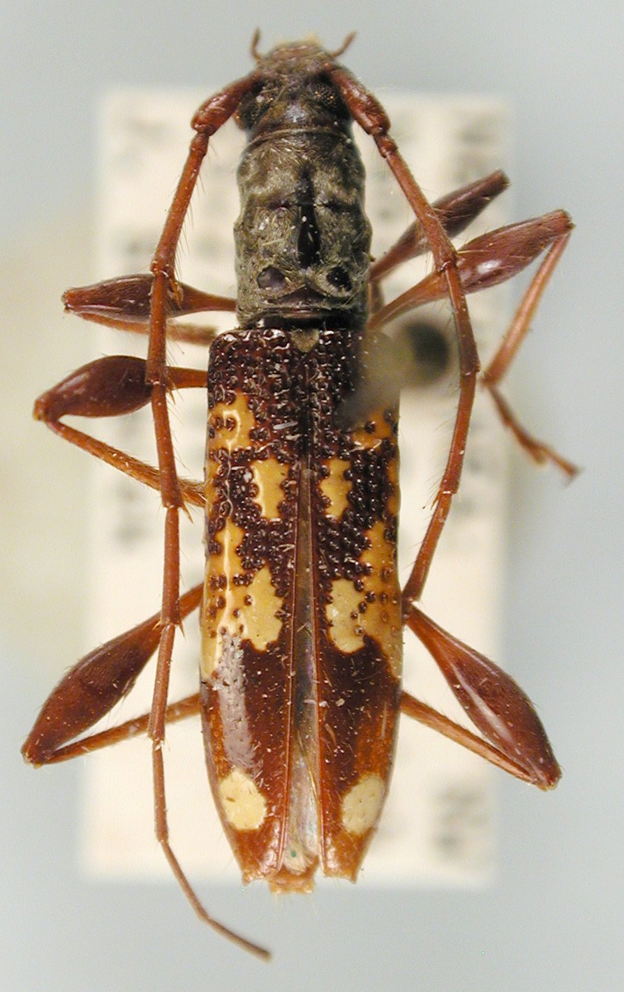
SubFamily Cerambycinae

Tribe Phoracanthini
Coptocercus rotundiguttatus Wang 1995

Specimen Type: holotype
Sex: m
Institution: BPBM Bernice P. Bishop Museum, Honolulu, Hawaii, USA
Photographer: Nobuo Ohbayashi
Collection Location: Papua New Guinea, Irian Jaya
43311


Institution: JCPC Jim Cope Collection, San Jose, California, USA now at CSCA, Sacramento
Photographer: Larry G. Bezark
Determiner: Jim Cope
Collection Location: S Geelvink Bay, Nabire, Papua New Guinea
98977

130425