_Newman_BMNH_Aust_now_obscurus_Aust_Slip_Esc.jpg)
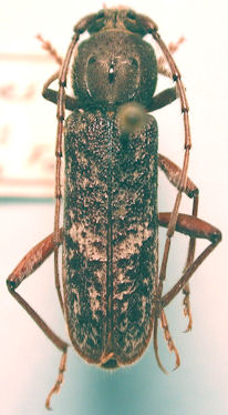
Phacodes lentiginosus Newman Specimen Type: holotype Institution: BMNH British Museum Natural History, London, UK Photographer: Slipinski & Escalona Collection Location: Australia 61741
|

Institution: LGBC Larry G. Bezark Collection, Sacramento, California, USA Photographer: Larry G. Bezark Determiner: Jim Cope 56453
|