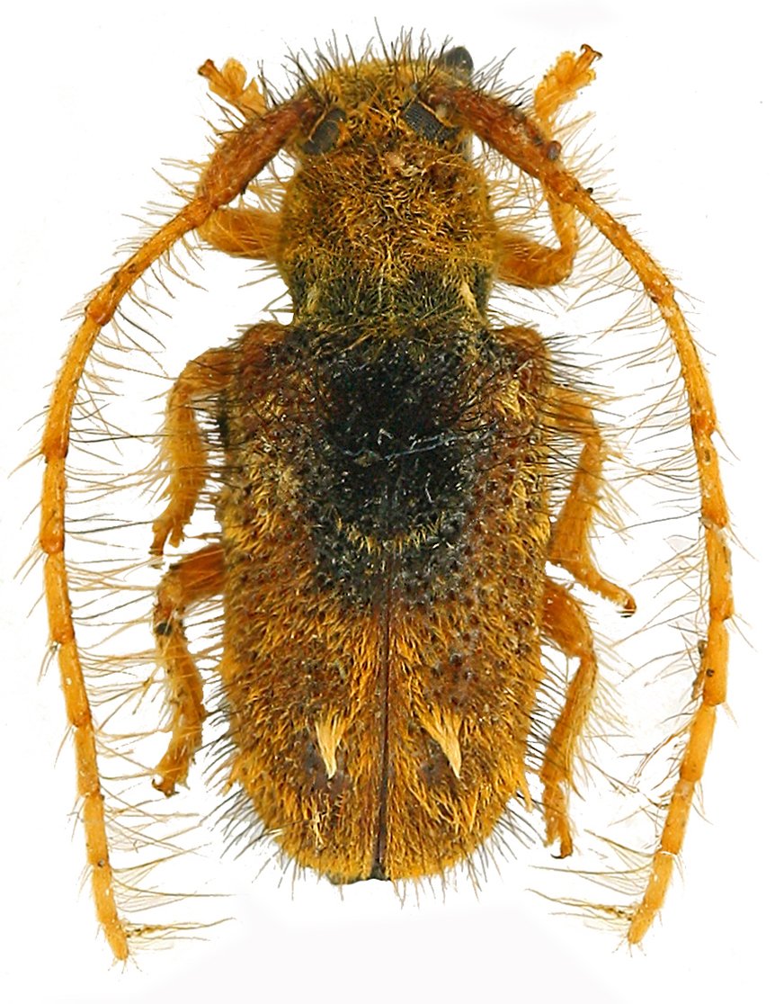
_Guig_Dalens_MNHN_Piste_Kapiri_pk125_Regina_Fr_G.jpg)
Specimen Type: holotype Sex: f Institution: MNHN Museum of Natural History Paris, France Photographer: Jean-Louis Giuglaris Collection Location: Piste Kapiri, pk 125, Regina, French Guiana 49764
|
 Guig Dalens Montagne des Chevaux, Roura, French Guiana Robin.jpg)
Sex: f Photographer: Frédéric Robin Collection Location: Montagne des Chevaux, Roura, French Guiana 78183
|