
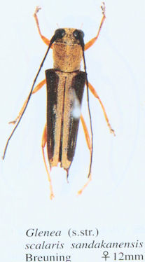
Institution: JCPC Jim Cope Collection, San Jose, California, USA now at CSCA, Sacramento Photographer: Larry G. Bezark Determiner: Jim Cope Collection Location: Mt Trus Madi, Crocker Range, Sabah, Borneo 97259
|
 Br Mt Trus Madi, Crocker Range, Sabah, Borneo JCPC LGB.jpg)
Institution: JCPC Jim Cope Collection, San Jose, California, USA now at CSCA, Sacramento Photographer: Larry G. Bezark Determiner: Jim Cope Collection Location: Mt Trus Madi, Crocker Range, Sabah, Borneo 97260
|