New Search Family, Subfamily and Tribe List

SubFamily Lamiinae

Tribe Saperdini
Glenea mathematica anona Pascoe 1867

Glenea anona v. obscura Aurivillius
Specimen Type: holotype
Sex: m
Institution: MHNG Museum of Natural History, Geneva, Switzerland
Photographer: Meiying Lin
Collection Location: Thagatà, Tenasserim, Myanmar
67514


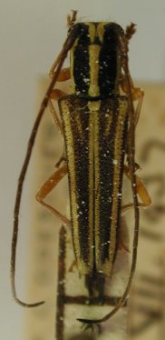
Glenea anona v. obscura Aurivillius
Specimen Type: holotype
Sex: m
Institution: MHNG Museum of Natural History, Geneva, Switzerland
Photographer: Meiying Lin
Collection Location: Thagatà, Tenasserim, Myanmar
67513


Glenea anona Pascoe
Specimen Type: maybe this taxon
Institution: LIPI Lembaga Ilmu Pengetahuan, Bogor, Indonesia
Photographer: Larry G. Bezark
Collection Location: Batoerraden, G Slamet, West Java
43623


Glenea anona Pascoe
Specimen Type: maybe this taxon
Institution: LIPI Lembaga Ilmu Pengetahuan, Bogor, Indonesia
Photographer: Larry G. Bezark
Collection Location: Batoerraden, G Slamet, West Java
43624


Glenea anona Pascoe
Specimen Type: maybe this taxon
Institution: LIPI Lembaga Ilmu Pengetahuan, Bogor, Indonesia
Photographer: Larry G. Bezark
Collection Location: Preanger, West Java
43625

130425