New Search Family, Subfamily and Tribe List

SubFamily Lamiinae

Tribe Saperdini
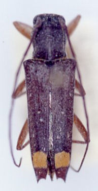
Glenea fatalis Pascoe 1867

Specimen Type: syntype
Institution: BMNH British Museum Natural History, London, UK
Photographer: Dan Heffern
Collection Location: Sarawak, Borneo
48724


Glenea fatalis m. fuscofemorata Breuning
Specimen Type: holotype
Sex: f
Institution: NHMB Naturhistorisches Museum, Basel, Switzerland
Photographer: Meiying Lin
Collection Location: Medan, Sumatra, Indonesia
67433


Glenea biapicalis Thomson
Specimen Type: holotype
Institution: MNHN Museum of Natural History Paris, France
Photographer: Meiying Lin
Collection Location: Presque Isle, Malacca, Malaysia
67434


Institution: BMNH British Museum Natural History, London, UK
Photographer: Dan Heffern
Collection Location: Sarawak, Borneo
48725


Photographer: Jim Cope
Collection Location: Borneo
48726

130425